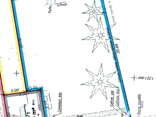
TERRAIN CONSTRUCTIBLE ARBORE AVEC PUITS - 10 min DES PLAGES
À seulement 3 km du centre-ville de Saint-Hilaire-de-Riez, saisissez l'opportunité de bâtir votre projet sur cette parcelle privilégiée, alliant confort de la ville et sérénité de la nature.
- PRET A CONSTRUIRE : viabilisé et clos sur 3 côtés
- LIBRE DE CONSTRUCTEUR : réalisez la maison de vos rêves selon vos envies
- LE + ECONOMIQUE , présence d'un puits sur le terrain
- BELLES DIMENSIONS : Façade généreuse de 19m sur 30m de profondeur
- EMPLACEMENT STRATEGIQUE : Piste cyclable en cours de réalisation devant la parcelle et arrêt de bus à proximité
- ZONAGE PLU (zone UD): Belle capacité de construction avec 250m² de plancher autorisé
Ce terrain arboré n'attend plus que vos plans
Honoraires d'agence à la charge du vendeur.
Bien non soumis au DPE. Les informations sur les risques auxquels ce bien est exposé, y compris l'obligation légale de débroussaillement, sont disponibles sur le site Géorisques : http://www.georisques.gouv.fr.
La présente annonce immobilière a été rédigée sous la responsabilité éditoriale de Mme Laure Boite mandataire indépendant en immobilier (sans détention de fonds), agent commercial de la SAS I@D France immatriculé au RSAC de LA ROCHE SUR YON sous le numéro 914669924, titulaire de la carte de démarchage immobilier pour le compte de la société I@D France SAS.
(1) simulation non contractuelle communiquée à titre informatif en se basant sur les taux moyens du marché
(2) Sous réserve d'acceptation de votre dossier de prêt immobilier par votre Caisse régionale de Crédit Agricole, prêteur. S'agissant d'un prêt concernant l'acquisition ou la construction d’un logement, vous disposez d'un délai de réflexion de 10 jours pour accepter l'offre de prêt. La réalisation de la vente est subordonnée à l'obtention du prêt. Si celui-ci n'est pas obtenu, le vendeur doit vous rembourser les sommes versées.
Trouvez le bon bien immobilier à Saint-Hilaire-de-Riez
Voici des annonces similaires à votre recherche : Terrain à vendre à Saint-Hilaire-de-Riez
2
Vente de terrain
Saint-Hilaire-de-Riez 85
96 450 €
(120 €/m²)
Century 21 à le plaisir de vous présenter ce terrain constructible en lot arrière au calme ,à proximité des commerces , écoles , centre ville à moins d'1,5 kms .
Les pistes cyclables vous emmèneront aux plages ,en forêt , à Saint Gilles Croix De Vie en quelques minutes.
Produit rare sur le secteur n'hésitez pas à nous […] Voir l’annonce immobilière >>
805㎡
2
Vente de terrain
Saint-Hilaire-de-Riez 85
149 500 €
(161 €/m²)
NOUVEAUTE DURET !
Nous vous proposons de découvrir ce beau et agréable terrain à bâtir d'environ 930 m². Ce terrain est idéal pour y réaliser votre futur cocon familial ou un projet d'investissement.
Terrain non viabilisé et libre constructeur.
CU ok.
Prenez contact avec Thomas BERLAND pour toute demande d'information et visite.
Vos Agences Duret Immobilier vous accueillent téléphoniquement du lundi au samedi, de 8h00 à 19h00 sans interruption.
TBE
Honoraires inclus de 6.79% TTC à la charge de l'acquéreur. Prix hors honoraires […] Voir l’annonce immobilière >>
930㎡
EXCLUSIVITÉ
2
Vente de terrain
Saint-Hilaire-de-Riez 85
242 800 €
(529 €/m²)
Guy Hoquet SAINT HILAIRE DE RIEZ vous propose en exclusivité AMANDA un terrain d'une superficie de 459 m2 situé dans un lotissement de prestige avec accès privé à la plage. Ce terrain bénéficie d'un emplacement idéal à proximité de nombreux commerces et services : restaurants, supermarchés, boulangeries, poissonneries, pharmacies et bureau de poste. Le cadre est parfait pour un projet immobilier de prestige, offrant un environnement agréable Référence du bien : AC1634. Prix : 242 800 euros.
Agence immobilière Guy Hoquet SAINT HILAIRE DE RIEZ
Nous vous proposons à la vente, dans un quartier calme et agréable de SAINT HILAIRE DE RIEZ, ce terrain à bâtir, libre de constructeur, d'environ 1 187 m².
Pour plus d'informations, prenez contact avec Thomas BERLAND.
Vos agences DURET IMMOBILIER vous accueillent téléphoniquement du lundi au samedi de 8h00 à 19h00 sans interruption.
Les informations sur les risques auxquels ce bien est exposé sont disponibles sur le site Géorisques : www.georisques.gouv.fr.
TBE
Honoraires inclus de 8% TTC à la charge de l'acquéreur. Prix hors honoraires […] Voir l’annonce immobilière >>
1 187㎡
2
Vente de terrain
Saint-Hilaire-de-Riez 85
99 900 €
(80 €/m²)
Agence BEAUFORT vous présente :
Quartier de la Fradinière - belle parcelle de 1251 m2, environnement boisé - libre de constructeur, viabilité à proximité.
Agence BEAUFORT deux agences immobilières […] Voir l’annonce immobilière >>
1 251㎡
3
Vente de terrain
Saint-Hilaire-de-Riez 85
201 400 €
(183 €/m²)
A Saint Hilaire de Riez, Terrain de 1100 M² arboré.
à moins de 800 mètres de l'océan et des plages de sables, ce magnifique terrain va vous séduire ! Contactez-nous rapidement.
Ce secteur offre plusieurs atout : Calme, à 5 minutes des commerces, arrêt de car pour les enfants à proximité immédiate...
Profitez de nos solutions de […] Voir l’annonce immobilière >>
1 100㎡
2
Vente de terrain
Saint-Hilaire-de-Riez 85
109 000 €
Magnifique parcelle de 669 m2 viabilisée en électricité, située en lisière de forêt, avec la piste cyclable à sa sortie pour y rejoindre les commerces du centre de Saint-Hilaire à 1 km, et la plage de Sion à 2.2 km, zone UBb du […] Voir l’annonce immobilière >>
669㎡
EXCLUSIVITÉ
3
Vente de terrain
Saint-Hilaire-de-Riez 85
186 900 €
(240 €/m²)
Découvrez ce terrain viabilisé de 780m2, idéalement situé à Saint Hilaire de Riez, dans un quartier prisé à l'abri du bruit. Orienté plein sud, ce terrain vous offre une construction libre, vous permettant de réaliser le projet de vos rêves. Proposé au prix de 197 900 euros, ce bien est une opportunité à ne pas manquer. Pour plus d'informations, contactez l'agence Guy Hoquet SAINT HILAIRE DE RIEZ.
Bien proposé par Erwan Dieumegard, agent commercial, inscrit au Registre spécial des Agents commerciaux sous le numéro […] Voir l’annonce immobilière >>
780㎡
EXCLUSIVITÉ
3
Vente de terrain
Saint-Hilaire-de-Riez 85
181 900 €
(254 €/m²)
Découvrez ce terrain non viabilisé de 716m2, idéalement situé à Saint Hilaire de Riez, dans un quartier prisé. Orienté plein sud, ce terrain vous offre une construction libre, vous permettant de réaliser le projet de vos rêves. Pour plus d'informations, contactez l'agence Guy Hoquet SAINT HILAIRE DE RIEZ.
Bien proposé par Erwan Dieumegard, agent commercial, inscrit au Registre spécial des Agents commerciaux sous le numéro 983741851 (7.00 […] Voir l’annonce immobilière >>