Vente de terrain
Vieux-lès-Asfeld 08
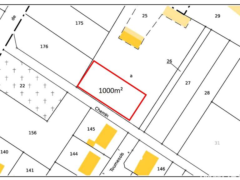
iad France - Julien Pepe vous propose: Terrain constructible – 750m² –
À vendre, terrain constructible non viabilisé d’une surface totale de 750 m², idéalement situé à proximité immédiate d’un lotissement existant.
- Terrain libre de constructeur
- Environnement résidentiel
- Réseaux à proximité (viabilisation à prévoir)
Le bornage sera fait à la vente donc possibilité d'acquérir plus ou moins de surface si besoin.
Une opportunité rare pour un projet de construction sur mesure.
Honoraires d'agence à la charge du vendeur.
Bien non soumis au DPE. Les informations sur les risques auxquels ce bien est exposé, y compris l'obligation légale de débroussaillement, sont disponibles sur le site Géorisques : http://www.georisques.gouv.fr.
La présente annonce immobilière a été rédigée sous la responsabilité éditoriale de M Julien Pepe mandataire indépendant en immobilier […] Voir l’annonce immobilière >>


