Votre Vente terrain à Saint-Mathurin avec ouestfrance-immo.

Vente Terrain à Saint-Mathurin

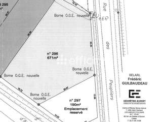
671㎡

153 000 € (228 €/m²)

Vente Terrain à Saint-Mathurin

671㎡

153 000 € (228 €/m²)

Terrain Saint-Mathurin

Belle parcelle à bâtir de 671 m² exposée sud-ouest, desservie en eau, électricité et tout à l'égout, façade sur rue de 15,70 et largeur milieu de terrain de 25 m, profondeur de 34 m. environnement calme, école et commerces accessibles à pied en moins de 10 minutes. Les Sables à 10 minutes en voiture et la Roche sur Yon à 20 minutes.

Les informations sur les risques auxquels ce bien est exposé sont disponibles sur le site Georisque : georisques. gouv. fr

Xavier Mustafitch - EI - est Agent Commercial mandataire en immobilier, immatriculé au Registre Spécial des Agents Commerciaux du Tribunal de Commerce de None sous le n°991316654.

Siège social du mandant : effiCity, 48 avenue de Villiers - 75017 PARIS - Société par Actions Simplifiée, société au capital de 132 373,05 euros, immatriculée au RCS Paris 497 617 746 et titulaire de la Carte professionnelle CPI 7501 2015 000 002 025 - CCI Paris IDF - Caisse de Garantie : GALIAN Assurances 89 rue de la Boétie 75008 Paris

Les informations sur les risques auxquels ce bien est exposé sont disponibles sur le site Géorisques :

Réf. 206525 - 28/04/2026


DPE

NS
kWh/m² .an

Caractéristiques du bien à vendre

  • Prix :
    153 000 € (228 €/m²)

    prix du bien hors honoraires : 145 000 €

    Dont 5,52% à la charge de l'acquéreur (soit 8 000 €)

    Simuler mon prêt
  • Surface habitable :
    671 m²
Contactez-nous !

Demandez plus d'infos à effiCity

* Champs obligatoires

effiCity

48 Avenue de Villiers

75017 Paris 17e

SIREN: 497617746

Estimez vos mensualités Pour cette annonce de 153 000 €

Prix du bien
Apport
20,00 %
Estimation frais de notaire
8,00 %
Durée de prêt et taux d'intérêt
Estimation
777 €
Par mois
Affiner votre simulation de prêt immobilier avec le Crédit Agricole ?

Trouvez le bon bien immobilier à Saint-Mathurin

Voici des annonces similaires à votre recherche : Terrain à vendre à Saint-Mathurin

Informations locales Saint-Mathurin

ESTIMATION

En 2 minutes estimez gratuitement votre bien avec ouestfrance-immo.com
J'estime mon bien

Vente de terrain à Saint-Mathurin