Vente de terrain
Domagné 35
A vendre par Blot Immobilier Chateaubourg :
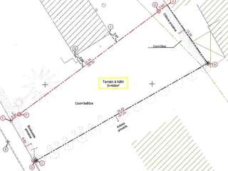
Sur la commune de Domagné, en plein centre ville, terrain d'environ 478 m², non viabilisé et libre de constructeur.
CLASSE ENERGIE : NON REQUIS -
CLASSE CLIMAT : NON REQUIS
REF: 567JLM
Ce bien vous est présenté par l'agence BLOT IMMOBILIER CHATEAUBOURG -
1 Rue de Bel Air 35220 CHATEAUBOURG -
*Au prix de 77 500 € FAI dont 10.71% TTC d'honoraires à la charge de l'acquéreur - Prix net vendeur ; 70 000€.
Les informations sur les risques naturels, […] Voir l’annonce immobilière >>





