Vente de terrain
Bouaye 44
Bouaye
Rare sur le secteur
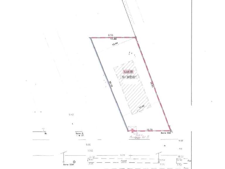
Venez visiter ce beau terrain d'une surface de 1218m2 dont 678m2 en zone Umd1 du PLU métropolitain.
Situé au calme avec jolie vue sur la nature
En bande constructible secondaire
Non viabilisé
Libre de constructeur.
A visiter sans tarder
COTE IMMOBILIER - BOUAYE
2 PLACE DES ECHOPPES
44830 […] Voir l’annonce immobilière >>
