Vente Terrain à Vias
140 000 € (373 €/m²)
Vente Terrain à Vias
140 000 € (373 €/m²)


Terrain Vias
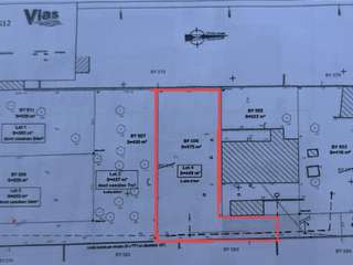
iad France - Mathieu Sanchez vous propose: Opportunité Rare - Terrain à Bâtir de 375m² à Vias, Exposition Sud-Est.
Vous rêvez de construire la maison de vos rêves dans un cadre idyllique et ensoleillé ? Ne cherchez plus, ce terrain à bâtir de 375m² exposé Sud-Est à Vias est l'opportunité qu'il vous faut.
Situé dans un secteur calme et résidentiel, ce terrain offre un environnement paisible, idéal pour construire votre futur nid douillet.
La parcelle, est issue d'une division et offre de belles perspectives pour la construction d'une maison individuelle sur mesure. Bénéficiant d'une exposition idéale Sud-Est, vous pourrez profiter de la luminosité naturelle tout au long de la journée et d'un ensoleillement optimal.
Les réseaux d'eau potable et d'assainissement sont accessibles directement de la rue et raccordé aux terrains facilitant ainsi le raccordement de votre future construction.
Implanté à proximité des commodités, de la plages, des écoles et des transports en commun, ce terrain offre un cadre de vie pratique et agréable pour toute la famille.
Ne manquez pas cette opportunité rare de réaliser votre projet immobilier sur mesure dans un environnement privilégié à Vias. Contactez-nous dès maintenant pour plus d'informations et pour organiser une visite sur site.
Honoraires d'agence à la charge du vendeur.
Bien non soumis au DPE. Les informations sur les risques auxquels ce bien est exposé, y compris l'obligation légale de débroussaillement, sont disponibles sur le site Géorisques : http://www.georisques.gouv.fr.
La présente annonce immobilière a été rédigée sous la responsabilité éditoriale de M Mathieu Sanchez mandataire indépendant en immobilier (sans détention de fonds), agent commercial de la SAS I@D France immatriculé au RSAC de BEZIERS sous le numéro 925380818, titulaire de la carte de démarchage immobilier pour le compte de la société I@D France SAS.
Réf. 1796030 - 26/04/2026
DPE
Caractéristiques du bien à vendre
- Surface habitable :375 m²
- Surface terrain :375 m²
Demandez plus d'infos à IAD France







