Vente Terrain à Champ-sur-Drac
140 000 € (329 €/m²)
Vente Terrain à Champ-sur-Drac
140 000 € (329 €/m²)


Terrain Champ-sur-Drac
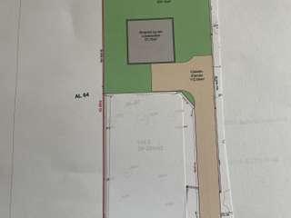
iad France - Martine REBORA vous propose: Retour à la vente pour ce terrain plat constructible et viabilisé à Champ-sur-Drac situé 9 Chemin Christian Hallaf.
Conditions de construction :
* 85 m² habitables maximum en respectant obligatoirement 255 m² restants de surface de pleine terre minimum.
* 10 m de hauteur maxi au faîtage
Situé dans un quartier calme et verdoyant, ce terrain offre un cadre de vie paisible et agréable. Les réseaux sont déjà en place, avec l'électricité, l'eau potable, les eaux usées et les eaux pluviales déjà raccordées au terrain.
Honoraires d'agence à la charge du vendeur.
Bien non soumis au DPE. Les informations sur les risques auxquels ce bien est exposé, y compris l'obligation légale de débroussaillement, sont disponibles sur le site Géorisques : http://www.georisques.gouv.fr.
La présente annonce immobilière a été rédigée sous la responsabilité éditoriale de Mme Martine REBORA mandataire indépendant en immobilier (sans détention de fonds), agent commercial de la SAS I@D France immatriculé au RSAC de GRENOBLE sous le numéro 848391959, titulaire de la carte de démarchage immobilier pour le compte de la société I@D France SAS.
Réf. 1980749 - 25/04/2026
DPE
Caractéristiques du bien à vendre
- Surface habitable :426 m²
- Surface terrain :426 m²
Demandez plus d'infos à IAD France



