Vente de terrain
Cardonville 14
LOTISSEMENT DE CHARME EN CAMPAGNE, PROCHE MER
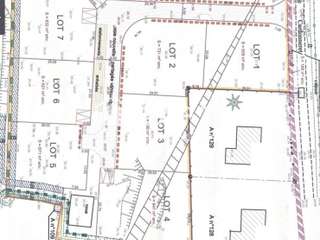
Découvrez ce programme de 8 parcelles de terrain viabilisées, idéalement situé dans un environnement calme et verdoyant, au prix attractif de 65 € / m².P8
Un emplacement privilégié :
À seulement 2 km du rond-point desservant la voie rapide 2x2 voies direction Bayeux / Caen
Accès rapide : 4 minutes en voiture pour rejoindre la 2x2 voies vers Cherbourg
4 minutes en voiture pour accéder à la coopérative Isigny Sainte-Mère
Vie quotidienne facilitée :
Écoles primaires et collège rapidement accessibles sur Isigny et Osmanville
Commerces et services à proximité
Un cadre de vie recherché :
Terrains situés en pleine campagne, au calme
Parcelles entièrement viabilisées (eau, électricité…)
Environnement paisible, idéal pour une résidence principale ou secondaire
Entre terre et mer :
À seulement 4 km de Grandcamp-Maisy
Proximité immédiate du port et du littoral
À proximité des plages du Débarquement, secteur chargé d’histoire et très prisé
Un investissement de qualité :
Ces terrains offrent un fort potentiel de valorisation dans un secteur recherché, alliant accessibilité, qualité de vie et attractivité touristique.
Dossier complet et visites sur demande.
Opportunité rare à ne pas manquer !
Les […] Voir l’annonce immobilière >>







