Vente de terrain
Mauvezin 32
iad France - Virginie Cecchini vous propose: *** EXCLUSIVITÉ *** MAUVEZIN
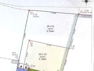
Proche Centre-ville, AU CALME, superbe Terrain Constructible Arboré de 1 289m².
Complètement viabilisé, eau et électricité, vous n'avez plus qu'à prévoir votre assainissement autonome. L'étude G1 est également disponible.
Pas de contraintes pour la construction.
Vue dégagée sur les champs.
Possibilité d'accompagnement dans le choix du constructeur et/ou des artisans si besoin, sans supplément.
TOUTE PROPOSITION SERA CONSIDÉRÉE.
Honoraires d'agence à la charge du vendeur.
Bien non soumis au DPE. Les informations sur les risques auxquels ce bien est exposé, y compris l'obligation légale de débroussaillement, sont disponibles sur le site Géorisques : http://www.georisques.gouv.fr.
La présente annonce immobilière a été rédigée sous la responsabilité éditoriale de Mme Virginie Cecchini mandataire indépendant en […] Voir l’annonce immobilière >>





