Vente Terrain à Grainville-Langannerie
88 000 € (123 €/m²)
Vente Terrain à Grainville-Langannerie
88 000 € (123 €/m²)


Terrain Grainville-Langannerie
Dans votre agence ERA IMMOBILIER CAEN VENOIX
RARE A LA VENTE! à 20min de CAEN
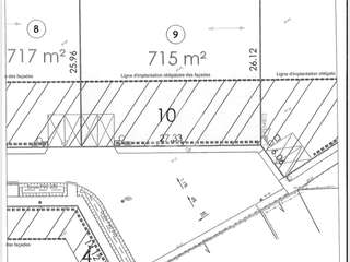
Dans lotissement déjà terminé, terrain libre choix constructeur de 715m2, dont 354m2 constructible.
Elec OK.
Noémie HUARD (EI) Agent Commercial - Numéro RSAC : 990873531 - .
Les informations sur les risques auxquels ce bien est exposé sont disponibles sur le site Géorisques :
Réf. 3743 - 28/04/2026
DPE
Caractéristiques du bien à vendre
- Surface habitable :715 m²
- Surface terrain :715 m²
- Exposition :Sud
- À proximité des commerces et des transports en commun
Demandez plus d'infos à ERA IMMOBILIER AGENCE VENOIX
Estimez vos mensualités Pour cette annonce de 88 000 €
(1) simulation non contractuelle communiquée à titre informatif en se basant sur les taux moyens du marché
(2) Sous réserve d'acceptation de votre dossier de prêt immobilier par votre Caisse régionale de Crédit Agricole, prêteur. S'agissant d'un prêt concernant l'acquisition ou la construction d’un logement, vous disposez d'un délai de réflexion de 10 jours pour accepter l'offre de prêt. La réalisation de la vente est subordonnée à l'obtention du prêt. Si celui-ci n'est pas obtenu, le vendeur doit vous rembourser les sommes versées.



