Vente Divers à Domfront-en-Poiraie
11 445 € (1 €/m²)
Vente Divers à Domfront-en-Poiraie
11 445 € (1 €/m²)

Divers Domfront-en-Poiraie
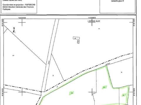
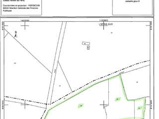
Parcelle de terrain agricole en nature d'herbage d'une superficie totale de 1ha 90a 10ca.
11.445 € honoraires de négociation inclus, soit 5.500 € l'hectare net vendeur.
Les informations sur les risques auxquels ce bien est exposé sont disponibles sur le site Géorisques :
Réf. 61038-1471 - 28/04/2026
DPE
Caractéristiques du bien à vendre
- Surface habitable :19010 m²
- Surface terrain :19010 m²
Demandez plus d'infos à SCP ETUDE DU BOCAGE - 61700 DOMFRONT EN POIRAIE
SCP ETUDE DU BOCAGE - 61700 DOMFRONT EN POIRAIE
2 RUE DE SAINT FRONT
61700 Domfront-en-Poiraie
SIREN: 327754974
Estimez vos mensualités Pour cette annonce de 11 445 €
(1) simulation non contractuelle communiquée à titre informatif en se basant sur les taux moyens du marché
(2) Sous réserve d'acceptation de votre dossier de prêt immobilier par votre Caisse régionale de Crédit Agricole, prêteur. S'agissant d'un prêt concernant l'acquisition ou la construction d’un logement, vous disposez d'un délai de réflexion de 10 jours pour accepter l'offre de prêt. La réalisation de la vente est subordonnée à l'obtention du prêt. Si celui-ci n'est pas obtenu, le vendeur doit vous rembourser les sommes versées.

